物件ID:148410
情報公開日:2025年11月05日
情報更新日:2026年04月22日
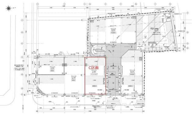
立地
-
住所 東京都足立区竹の塚六丁目11-1 建物名/所在階 T・キューブ/C区画/1階 最寄駅 東武伊勢崎線竹ノ塚駅
徒歩4分近隣駅1 ー 近隣駅2 ー
費用/契約
-
造作価格 ー 賃料(坪単価) 547,800円(25,295円) 管理費/共益費(坪単価) 23,624円(1,090円) 保証金/敷金 12ヶ月 / ー 償却 20% 礼金 1ヶ月 更新料/再契約料 1ヶ月 その他費用 ー 仲介手数料 1ヶ月 その他手数料 ー 契約期間 3年 契約種別
用途
-
物件の現況 ー 可能用途 ご相談 坪数 21.66坪
- 備考



















