物件ID:177967
情報公開日:2025年10月23日
情報更新日:2025年10月23日
立地
-
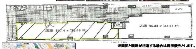
住所 神奈川県横浜市中区福富町西通51-2 建物名/所在階 ベルポリス・パティオ 1F/1階 最寄駅 京急本線日ノ出町駅
徒歩4分近隣駅1 ー 近隣駅2 ー
費用/契約
-
造作価格 ー 賃料(坪単価) 419,925円(16,500円) 管理費/共益費(坪単価) ー(ー) 保証金/敷金 6ヶ月 / ー 償却 ご相談 礼金 2ヶ月 更新料/再契約料 ー その他費用 ー 仲介手数料 1ヶ月 その他手数料 ー 契約期間 3年 契約種別
用途
-
物件の現況 バー 可能用途 何業も可 坪数 25.45坪
- 備考





















