物件ID:192201
情報公開日:2026年02月19日
情報更新日:2026年02月19日
立地
-
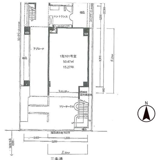
住所 京都市中京区桝屋町70 建物名/所在階 ライオンズマンション京都三条 101号室/1階 最寄駅 京都市営地下鉄東西線京都市役所前駅
徒歩6分近隣駅1 ー 近隣駅2 ー
費用/契約
-
造作価格 ご相談 賃料(坪単価) 503,910円(33,000円) 管理費/共益費(坪単価) 39,710円(2,600円) 保証金/敷金 3,000,000 / ー 償却 1,000,000 礼金 ご相談 更新料/再契約料 ー その他費用 火災保険・保証会社加入要 仲介手数料 1ヶ月 その他手数料 ー 契約期間 10年 契約種別 普通賃貸借
用途
-
物件の現況 物販 可能用途 指定あり 坪数 15.27坪
- 備考
- 物販店向き
分譲マンションにつき管理組合の承認要



















